Makléř: Čermáková Lucie
Telefon: 730 779 ...
E-mail: cermako ...
Zobrazit celý kontaktTelefon: 730 779 166
E-mail: cermakova@mojepole.cz
Nemovitost nabízí
MojePole.cz
Revoluční 1003/3, 110 00 Praha 1
Zobrazit kontakt na RK
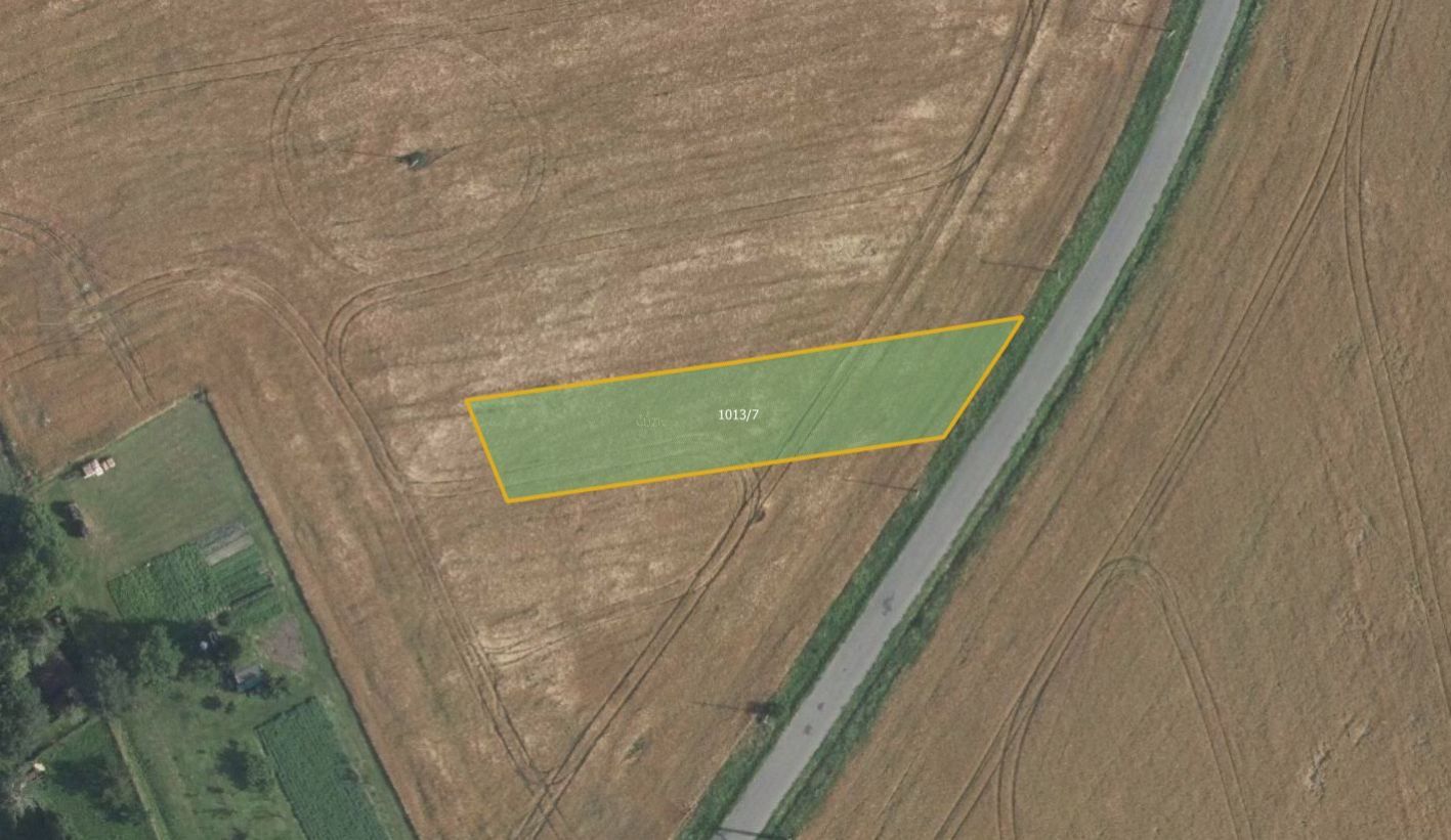
Nabízím k prodeji dva zemědělské pozemky ve výlučném vlastnictví, zapsané na listu vlastnictví č. 411 v katastrálním území Moravská Huzová, obec Štěpánov, okres Olomouc. Jedná se o následující parcely: parc. č. 330/79 - orná půda o výměře 18 072 m parc. č. 1013/7 - orná půda o výměře 1 244 m Pozemky mají velmi dobrou bonitu - průměrná BPEJ činí 14.26 Kč/m, u větší z parcel dosahuje až 15.22 Kč/m. Přístup je podle katastru nemovitostí veden parcelách v obecním vlastnictví. Důležitým benefitem je také dobrý tvar pozemků, který umožňuje efektivní práci zemědělské techniky a snadné plánování osevních postupů. Pro více informací o tomto pozemku mne kontaktujte telefonicky nebo e-mailem. Pozemek nabízím k exkluzivnímu prodeji v zastoupení vlastníka. Cena je uvedena včetně provize. Majitel si vyhrazuje právo vybrat kupujícího na základě nabídky. <a href="https://www.eurobydleni.cz/pozemky/zemedelska-puda/pribram/obec-drahlin/prodej/"><strong>Prodej zemědělské půdy Drahlín</strong></a>
Prodej, Pole, Grygov
Nabízíme k prodeji 2 pozemky vedené jako orná půda o celkové výměře 5 882 m2 v katastrálním území Grygov, okres Olomouc. Pozemky tvoří pruhy v honu.…
Prodej, Pole, Senice na Hané
Nabízíme k prodeji 2 pozemky vedené jako orná půda o celkové výměře 7 577 m2 v katastrálním území Senice na Hané, okres Olomouc. Pozemky tvoří pruhy…
Prodej zemědělské půdy Štěpánov na Eurobydleni.cz